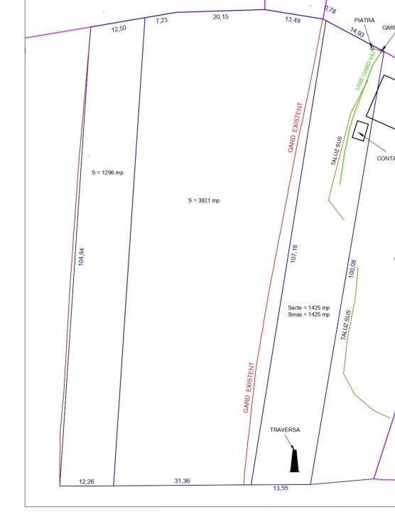
Va propunem spre vanzare un teren extravilan ( fanat ), in suprafata de 6642 mp, compus din 3 parcele ( 2 dintre ele fiind imprejmuite ), amplasat in imediata vecinatate a Domeniului Orlandea.
Accesul se face pe un drum lateral, printre case. In prezent terenul este extravilan ( conform PUG aprobat 2006 ). De asemenea se lucreaza la elaborarea si aviazarea unui nou PUG care sa introduca in intravilan terenuri aflate in extravilan, acest teren facand parte din categoria de terenuri cu perspectiva clara de a fi introdus in intravilan, cu posibilitatea de a deveni teren de constructii.
Utilitatile se gasesc la limita de proprietate: apa si energie electrica.
Avantaje:
- zona turistica In proximitate fiind case de vacanta, cabane, pensiuni;
- 20 km distanta de Orasul Sibiu;
- 38 km distanta de Transalpinal
- teren cu acces la padure;