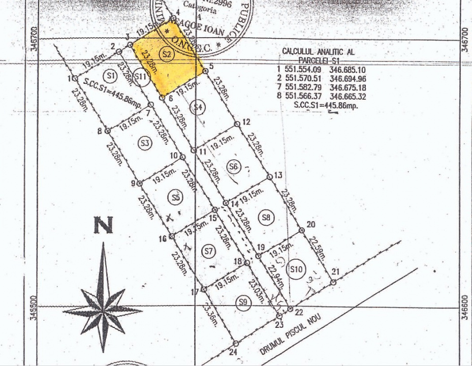
Va oferim spre vanzare acest lot de teren situat in Bucuresti, sect 1, Strada Piscul Nou nr 190 D cu acces imediat catre zona de nord a Bucurestiului
Terenul are o forma dreptunghiulara, o suprafata de 446 mp, cu deschidere la drum de servitute de 23 ml si o adancime de 19 ml. De asemnea se vinde si cota parte din drumul de servitute (10%) in suprafata de 58 mp.
Terenul este ideal pentru investitie sau pentru cine isi doreste sa construiasca o casa (PASIVA & INDEPENDENTA ENERGETIC) intr-o zona linistita departe de zgomotul orasului insa cu acces imediat catre Oras si puntele de interes din Nordul Capitalei.